|
||||||
| 種目 | 物件名 | 土地面積 | 坪単価 | 引渡時期 | 土地権利 | |
|---|---|---|---|---|---|---|
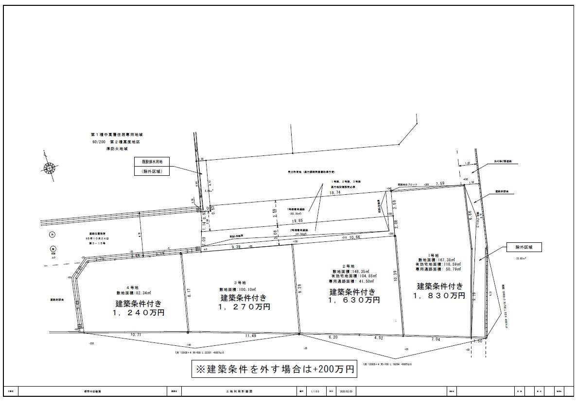
| 売地 | 【不動産/売土地】 堺市中区楢葉81-4 |
82.34m2 | 57.81万円 | 相談 | 所有権 | |
【不動産/売土地】堺市中区楢葉81-4
■土地面積:24.90坪
【建築条件】
◆なし/お好きなハウスメーカーや工務店にて建築できます♪
【現況】
◆更地ですので、既存建物の解体工事費用がかかりません♪
| 物件番号 | Bt5328 | |||||||||||||||||
|---|---|---|---|---|---|---|---|---|---|---|---|---|---|---|---|---|---|---|
| 住所 | 堺市中区楢葉81-4 | |||||||||||||||||
| 交通 | 南海泉北線 深井駅 徒歩28分 南海泉北線 深井駅 バス5分 停歩11分 堺市 中区 |
学区 | 小学校区:久世 1200m 中学校区:平井 650m |
|||||||||||||||
| 建ぺい率 | 60% | 容積率 | 200% | |||||||||||||||
| 地目 | 宅地 | 都市計画 | 市街化区域 | |||||||||||||||
| 用途地域 | 第一種中高層住居専用地域 | 地勢 | 平坦 | |||||||||||||||
| 現況 | 更地 | 建築条件 | 条件無 | |||||||||||||||
| 計測方法 | 公簿 | 取引態様 | 仲介 | |||||||||||||||
| 接道 | 北 4.7m(幅員) | |||||||||||||||||
| 周辺環境 | 【最寄駅】南海泉北線『深井駅』【教育】●堺市立久世小学校…徒歩15分●堺市立平井中学校…徒歩9分●まつのみ・こども園…約600m●西陶器こども園…約1000m【ショッピング】●コープ深阪…約800m●セブンイレブン堺楢葉店…約210m【医療】●山田クリニック…約350m【郵便局】●堺田園郵便局…約1000m | |||||||||||||||||
| 特色 | 【不動産/売土地】 : 建築条件なし、更地渡し | |||||||||||||||||
|
ローンを組むにあたり、月々の返済額をシミュレーションします。
|
||||||||||||||||||
【不動産/売土地】堺市中区楢葉81-4
地図
| 会員ページへ |
位置情報に関するご注意:現在位置情報は精査中の為、正確ではない場合があります。あくまで参考程度の情報となります。
![]()
- オークニ不動産
- TEL:0120-863-092
- FAX:072-350-2829










